Por , , y , CNN
Lo que estamos cubriendo
- La tormenta más fuerte de este año: Melissa experimentó una intensificación extremadamente rápida, fortaleciéndose a una rara categoría 5 con vientos de 282 km/h y ráfagas más fuertes, convirtiéndose en la tormenta más poderosa del planeta este año.
- La peor tormenta de Jamaica: La nación insular no ha sufrido el impacto directo de un huracán en más de una década, y nunca uno de categoría superior a 4 en la historia registrada. Se han ordenado evacuaciones obligatorias en las zonas costeras vulnerables de Jamaica ante la llegada prevista de Melissa el martes por la mañana.
- Preparándose para el impacto: Melissa amenaza con devastar la infraestructura de Jamaica y aislar a las comunidades de la isla . El Centro Nacional de Huracanes advierte sobre deslizamientos de tierra, inundaciones repentinas catastróficas y vientos que podrían causar un colapso estructural total. Melissa ya ha causado la muerte de tres personas en Haití y Jamaica, y de una en la República Dominicana.
- Sigue la trayectoria de Melissa aquí.
- Follow live updates in English.
ESTA INFORMACIÓN SE ESTÁ ACTUALIZANDO FRECUENTEMENTE INGRESE AQUÍ PARA ESTAR AL DÍA
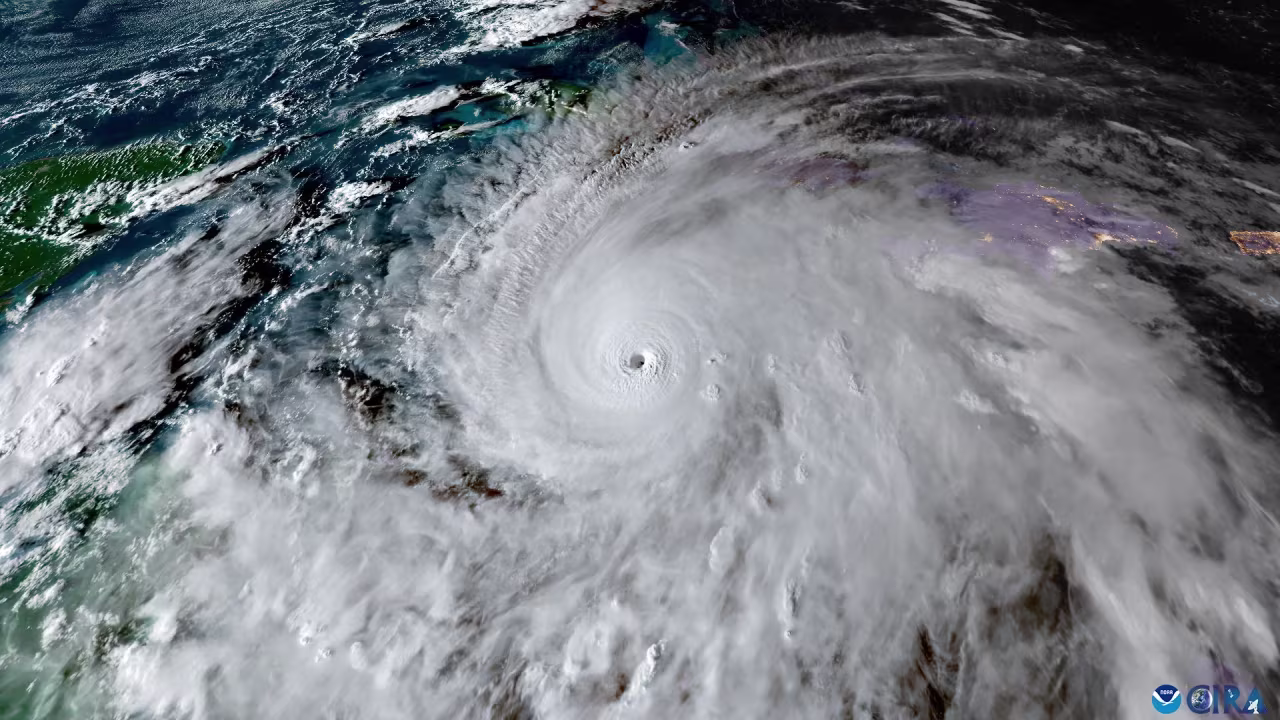
El ojo del huracán Melissa se acerca al oeste de Jamaica

El huracán Melissa está a pocas horas de convertirse en el primer huracán de categoría 5 que toca tierra en la cuenca del Atlántico en más de seis años y en la tormenta más fuerte registrada en azotar Jamaica.
“Se espera que vientos huracanados catastróficos comiencen durante las próximas horas”, dijo el centro de huracanes en su actualización de las 8 am hora de Miami.
Melissa se encuentra a 88 kilómetros al sur-sureste de Negril, Jamaica, y presenta vientos máximos sostenidos de 280 km/h. El huracán ha ganado velocidad y se desplaza hacia el norte-noreste a 11 km/h.
El último huracán de categoría 5 del Atlántico que tocó tierra fue Dorian en septiembre de 2019. Azotó Elbow Cay, Bahamas.
El huracán Gilbert es la tormenta más fuerte que ha tocado tierra en Jamaica hasta la fecha. En 1988, alcanzó la categoría 4 y los 209 km/h.
El ojo de Melissa podría estar cambiando justo antes de tocar tierra

Un ciclo de reemplazo de la pared del ojo podría estar en marcha a medida que Melissa se acerca a tocar tierra, dijo el Centro Nacional de Huracanes esta mañana.
La pared del ojo es donde se localizan los vientos más intensos del huracán. Las tormentas fuertes suelen desprenderse de sus antiguas paredes del ojo, casi como una serpiente que muda su piel, a medida que se forma una nueva y más grande a su alrededor. No se comprende bien por qué ocurre este proceso, pero a menudo causa cambios en el huracán.
Los vientos suelen debilitarse un poco durante un tiempo a medida que la pared del ojo se transforma, pero en el caso de Melissa, es demasiado tarde para tener un impacto significativo. Cualquier posible debilitamiento al acercarse a tierra esta mañana sería moderado y no reduciría la amenaza de vientos extremos devastadores, marejadas ciclónicas e inundaciones.
Melissa será la peor tormenta de Jamaica este siglo, predice agencia de la ONU

La Organización Meteorológica Mundial (OMM) dijo que espera que la situación en Jamaica sea “catastrófica”, ya que el huracán Melissa toca tierra como la peor tormenta que golpea la isla caribeña este siglo.
“Para Jamaica, sin duda será la tormenta del siglo”, declaró el martes en conferencia de prensa Anne-Claire Fontan, especialista en ciclones tropicales de la OMM, según informó Reuters. “Se prevé una situación catastrófica en Jamaica”.
Con marejadas ciclónicas de hasta 4 metros y precipitaciones de hasta 1 metro, Fontan dijo que “habrá inundaciones repentinas catastróficas y deslizamientos de tierra”.
La Federación Internacional de la Cruz Roja (FICR) también advirtió que espera que hasta 1,5 millones de personas en Jamaica se vean directamente afectadas por la tormenta, más de la mitad de la población.
El cambio climático probablemente esté empeorando el huracán Melissa
La intensificación del huracán Melissa hasta convertirse en la tormenta más fuerte de la Tierra en lo que va del año, y una de las tormentas más fuertes registradas en el Océano Atlántico, fue impulsada por temperaturas oceánicas inusualmente altas en el Caribe.
La tormenta atravesó dos períodos de rápida intensificación, con sus vientos máximos sostenidos saltando primero de 113 km/h el sábado por la mañana a 225 km/h apenas 24 horas después.
Luego, desde el domingo por la tarde hasta el lunes por la tarde, sus vientos máximos aumentaron nuevamente, pasando de 225 km/h a 282 km/h.
Estos episodios de rápida intensificación son cada vez más frecuentes a medida que el clima se calienta. El huracán Melissa es solo el último de una serie de intensos huracanes del Atlántico este año que han experimentado un fortalecimiento tan rápido.
Según el grupo de investigación en ciencias del clima Climate Central, las temperaturas del océano en las proximidades de la trayectoria del huracán Melissa fueron aproximadamente 2,5 grados Fahrenheit superiores al promedio para esta época del año.
El grupo calculó que a lo largo de todo el recorrido de la tormenta hasta el momento, las temperaturas inusualmente altas de la superficie del mar tenían una probabilidad al menos 500 a 800 veces mayor de deberse al calentamiento global.
Los estudios también muestran que el cambio climático está provocando que los huracanes produzcan lluvias más intensas que en décadas pasadas porque el aire más cálido retiene más humedad.
Cuándo llegarán las peores condiciones a Jamaica y Cuba
Se espera que el huracán Melissa toque tierra en el oeste de Jamaica a última hora de esta mañana. Tras cruzar Jamaica, Melissa tocará tierra por segunda vez en Cuba entre la noche del martes y la madrugada del miércoles.
Esto es lo que puede esperar en algunos lugares clave:
Kingston, Jamaica
• Peores condiciones: desde ahora hasta las 8 p. m., hora del Este.
• Ráfagas de viento máximas: 113 a 137 km/h
• Precipitaciones adicionales: 20.3 a 40.6 centímetros (promedio de octubre: 17.7 centímetros)
Bahía Montego, Jamaica
• Peores condiciones: martes de 8 a. m. a 8 p. m., hora del Este de EE. UU.
• Ráfagas de viento máximas: 161 a 225 km/h
• Precipitaciones adicionales: 30.5 a 50.8 centímetros (promedio de octubre: 16.6 centímetros)
• La peor marejada ciclónica se producirá el martes a media tarde o al final de la tarde, después de que pase el centro de la tormenta.
Santiago de Cuba, Cuba
• Peores condiciones: martes a las 10 p. m. hasta miércoles a las 10 a. m., hora del Este de EE. UU.
• Ráfagas de viento máximas: 161 a 193 km/h
• Precipitaciones adicionales: 25.4 a 40.6 centímetros, localmente hasta 63.5 centímetros (promedio de octubre: 19.3 centímetros)
Cómo se vería una marejada ciclónica de 4 metros
Una de las amenazas más importantes del huracán Melissa será una marejada ciclónica de entre 2 y 4 metros que podría afectar las costas del sur de Jamaica.
Imaginen que los fuertes vientos de la tormenta empujan una parte suficiente del mar Caribe hacia tierra normalmente seca, alcanzando una profundidad de 4 metros, o la altura de un elefante africano en tierra. Lo peor ocurrirá al este de donde la tormenta finalmente toque tierra.
Pero esto no será una tranquila poza de 4 metros de profundidad. El agua se convertirá en crestas blancas y olas gigantescas por vientos sostenidos de 280 km/h y ráfagas aún más fuertes, lo que la hará insalvable para cualquier persona o cosa atrapada en su interior.
Jamaica enfrenta un «maratón psicológico» mientras el huracán Melissa se acerca lentamente

A medida que el huracán Melissa avanza hacia Jamaica, trayendo intensas lluvias y vientos, los residentes están lidiando con consecuencias tanto físicas como emocionales.
“Esta es una tormenta que realmente ha estado avanzando muy lentamente, lo que ha provocado que permanezca aquí durante casi una semana”, dijo Michael Taylor, científico del clima y profesor de la Universidad de las Indias Occidentales, a Brian Abel de CNN.
Debido a su lento avance, se prevén lluvias muy fuertes; se pronostican lluvias catastróficas en el país. Existe una mayor probabilidad de que la marejada ciclónica avance tierra adentro y se produzcan deslizamientos de tierra, especialmente porque Jamaica tiene un interior montañoso y con fuertes vientos.
A 8 km/h (5 mph), el ritmo lento de Melissa agrava los temores de inundaciones generalizadas, daños a la infraestructura y fatiga mental. “Creo que el término que quiero usar es maratón psicológico”, dijo Taylor. “Incluso antes de que llegara la tormenta, ya estábamos cansados”.
Taylor señaló que, si bien la infraestructura de Jamaica en zonas urbanas como Kingston ha mejorado con los años, los asentamientos rurales e informales siguen siendo vulnerables. “Los servicios públicos han hecho todo lo posible por ser resilientes. La situación es desigual en todo el país”, explicó.
Ante la inminente tormenta, Taylor dijo que la gente está haciendo lo que puede: recolectando agua, cargando dispositivos y preparando kits de emergencia. “Estamos haciendo todo lo posible para sobrellevar esto”, añadió.
Jamaica abre más de 800 refugios ante la amenaza de Melissa por inundaciones y líneas terrestres

Se han abierto más de 800 refugios en toda la isla, pero actualmente solo se utilizan 133, dice Tannecia Stephenson, profesora de Ciencias del Clima y vicedecana de la Universidad de las Indias Occidentales.
“Hay cierta demanda de acceso a estas instalaciones”, declaró Stephenson a Brian Abel de CNN. “Pero, por el momento, la afluencia no es tan grande como se anticiparía. Esperamos que se deba a que las personas se han preparado y sienten que están que pueden capear mejor esta tormenta”.
Desde su segundo piso de hormigón, Stephenson oye la tormenta que se avecina afuera. “Oímos el viento; viene en oleadas. A veces hay calma, pero luego arrecian las lluvias”, añadió. “Es un movimiento lento. Sobre todo. Y los daños que podría causar son preocupantes”.
Stephenson señaló que el ritmo de la tormenta está aumentando el riesgo de inundaciones y deslizamientos de tierra a medida que continúan acumulándose fuertes lluvias.
Si bien el gobierno ha delineado planes de recuperación, que incluyen energía alternativa para las estaciones de bombeo de agua y equipos de reparación adicionales del Servicio Público de Jamaica, Stephenson dice que los residentes están concentrados en soportar la tormenta.
“Llevamos varios días esperando la llegada de esta tormenta”, añade Stephenson. “Hay ansiedad… pero esperamos que todo salga bien”.
Melissa sigue siendo un peligroso huracán de categoría 5 mientras avanza hacia tierra
Melissa se acerca a Jamaica, donde se espera que las condiciones de huracán comiencen esta mañana.
Sus vientos máximos sostenidos son de 280 km/h, con ráfagas más fuertes según la última actualización del Centro Nacional de Huracanes. El huracán de categoría 5 se encuentra a unos 185 km al oeste-suroeste de Kingston, Jamaica, y se desplaza al nornoreste a 8 km/h.
Recientemente se han registrado ráfagas de viento de más de 88 km/h en Kingston y Montego Bay, Jamaica, a medida que las condiciones empeoran allí.
Se espera que el centro de Melissa toque tierra entre el final de esta mañana y las primeras horas de la tarde.
“¡Permanezcan resguardados!”, instó el centro de huracanes en su más reciente aviso a los habitantes de Jamaica.










